Loading...

Konšćica

Konšćica, Konšćica, 871,00 m2, 150.000,00 EUR

150.000 €

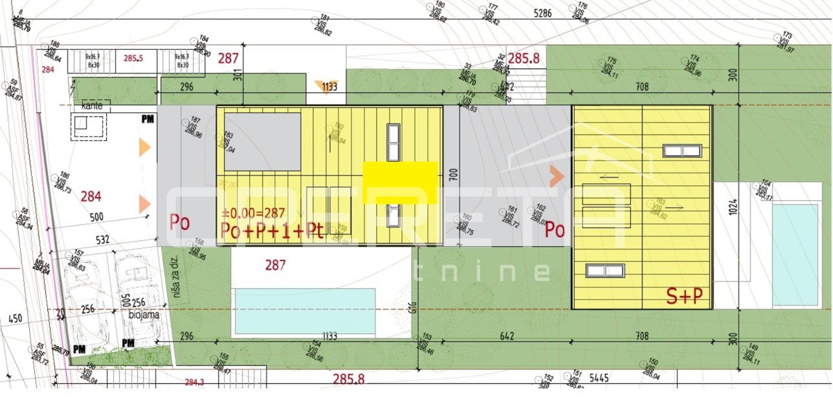
Konšćica, Konšćica, 871,00 m2, 150.000,00 EUR ZEMLJIŠTE SA GRAĐEVINSKOM DOZVOLOM ZA IZGRADNJU 2 KUĆE SA BAZENIMA
Na uzdignutoj lokaciji sa pogledom na Žumberak nalazi se zemljište sa građevinskom dozvolom i projektom za izgradnju 2 kuće sa bazenom. Predviđeni energetski certifikat kuća je A+. Na zahtjev je dostupan i idejni projekt.
Cijena zemljišta iznosi 173 eur/m2.
Uz ovo zemljište postoji mogućnost i kupnje dva dodatna zemljišta čime bi se objedinio investicijski projekt s ukupno 6 stambenih jedinica s predviđenim vlastitim bazenima.
Idealna prilika za stambeno rješenje u mirnom i idiličnom prirodnom okruženju, a opet nadomak grada Samobora.

REC ID: 1277664

Značajke

  • 871 m2
  • 871 m2

Agencija

Logo agencije

Opereta Real Estate

Agent

Zagreb Office

Mob: +385(0)13820050

Agencija logo
+
=
REC Kuće Biz
Dogma LUXURY ESCAPE
Bonum Real Estate Croatia
Opatia Riviera Real Estate by SmartInvest
Terra Dalmatica Real Estate
IMMO - real estate agency Split
Kaiser Immobilien Opatija
Search for you